Uživatelské jméno:     Heslo:    
Pro registrované
V databázi je právě 3 721 pozemků. Vítáme Vás!

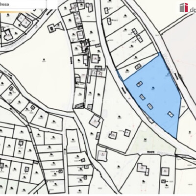
PROBOŠTOV pozemek pro výstavbu RD

 
Velikost: 1 000 m2
Cena: 2 250 Kč/m2  (2 250 000 Kč)
Lokalita: Teplice (Proboštov)

Popis

Dumrealit.cz Vám zprostředkuje prodej rovinatého pozemku o výměře 1 000 m, určeného k výstavbě rodinného domu v klidné části obce Proboštov. Pozemek se nachází v lokalitě která je ideální pro klidné rodinné bydlení. Možnost odkupu části pozemku dle vlastních požadavků od 700 m až do 5 018 m pro vyměření vlastní parcely — nabízíme flexibilní řešení; při odkupu celého pozemku je možná individuální dohoda o ceně a podmínkách Hlavní přednosti: - Výměra: 700 m - 5 018 m dle vlastních požadavků - Účel: bydlení - Voda: na pozemku - Elektřina: na hranici pozemku - Vlastnictví: osobní - Klidná část obce s dobrou dostupností Pro více informací a sjednání prohlídky mě kontaktujte. Rychlé jednání vítáno. Ev. číslo: 655318.

Přímý kontakt

logo
Ivana Rambousková
rambouskova@dumrealit.cz
DumRealit.cz
Pobočky po celé ČR,
 
 
 
provozovatel serveru - info@pozemky.cz - tel: +420/233 332 759