pozemek pro komerční výstavbu
Popis
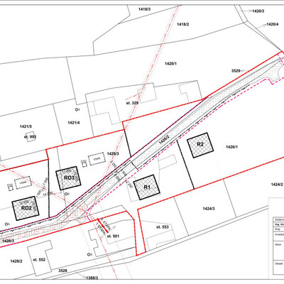
Máme pro Vás pozemek o velikosti 8949 m2, který je dělitelný na menší celky. Pozemek je rovinatý nebo mírně svažitý. Část pozemku o velikosti 4429 m2 je vedena v BI (plochy individuálního bydlení), dalších 1700 m2 je v RI (plochy rodinné rekreace). Přibližně 2064 m2 je Z.1 (plocha zemědělská - specifická). Ostatní plocha je komunikace, která vede přes celý pozemek a umožňuje příjezd k jednotlivým pozemkům. Pozemek se nachází v místní lokalitě Nad Hradským. V této lokalitě jsou již rodinné domy postaveny, ale jedná se spíš o klidnou lokalitu poskytující dostatek soukromí a krásné výhledy na okolí. Lokalita je na okraji CHKO Chřiby, ale není součástí CHKO. Pro jednotlivé domy se předpokládá vybudování studní (je k tomu zpracován hydrogeologický posudek s rozmístěním zdrojů vody) a čističek odpadních vod. Domy, které zde budou postaveny, mohou mít 2 NP a není stanoven koeficient zastavitelnosti. Nezávazná studie je zpracována. Pro více informací zavolejte.



