Uživatelské jméno:     Heslo:    
Pro registrované
V databázi je právě 3 614 pozemků. Vítáme Vás!

LIPENCE pozemek Ostatní

 
Velikost: 32 m2
Cena: 1 400 Kč/m2  (44 800 Kč)
Lokalita: Praha 5 (Lipence)

Popis

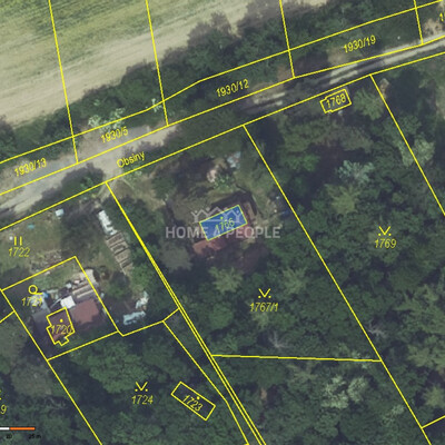
Nabízíme k prodeji spoluvlastnický podíl 1/2 na pozemku parc. č. 1766v katastrálním území Lipence, zapsaném na LV 977. Pozemek má celkovou výměru cca 32 m, předmětem prodeje je tedy ideální polovina podílu. Na pozemku se nachází cizí rekreační objekt. Parcela se nachází v klidné části Lipenců a je evidována v katastru nemovitostí. Prodej je vhodný zejména pro zájemce o rozšíření stávajícího pozemku v okolí nebo jako dlouhodobá investice. Podrobnější informace k pozemku, listu vlastnictví a právnímu stavu rádi poskytneme na vyžádání. Ev. číslo: 32058. včetně provize a právního servisu.

Přímý kontakt

logo
František Zbahna
zbahna@home4people.cz
HOME 4 PEOPLE a.s.
Václavské náměstí 806/62, Praha 1 - Nové Město 110 00
 
 
 
provozovatel serveru - info@pozemky.cz - tel: +420/233 332 759